[ 蘭越町 ] Doctors Village 湯里 526 [格安物件]
売土地
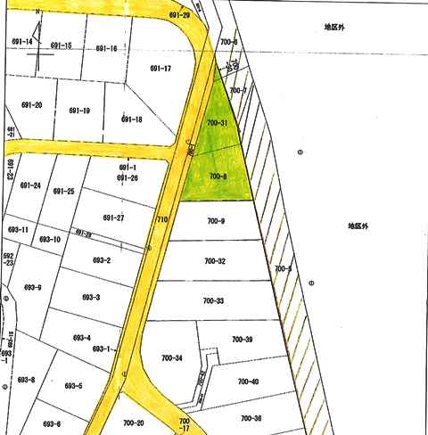
| No | 260101 |
|---|---|
| 所在地 | 磯谷郡蘭越町字湯里700番 |
| 販売価格 | ー |
| 交通 | JR函館本線「昆布」駅まで車で約23分(約9.8㎞) |
| 接道状況 | 分譲地内道路に接する |
| 土地面積 |
1,740㎡ 526.35坪 |
| 地目 |
原野 |
| 設備 |
私営水道(生活用水のみ使用可) 浄化槽設置要 |
| 都市計画 |
都市計画区域外 |
| 用途地域 | 指定なし、自然公園法第3種特別地域 |
| 建ぺい率 |
20% |
| 容積率 |
60% |
| 取引態様 |
仲介 |
| 引渡し |
相談 |
おすすめPOINT・備考
建築時に蘭越湯の里ヴィレッジ共同管理組合加入要
管理費につきましては係の者にお尋ね下さい
地型は3角地です。道々にも面してます
測量済

